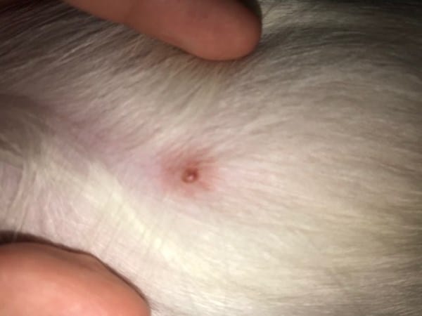
Mi perrita tiene una bolita roja
Mi perrita tiene una bolita roja, es superficial está solo en la piel y se ve como una espinilla o una bombita de agua pero de sangre supongo ya que es color rojo, ella apenas tiene un año y medio y es mestiza, la bolita le duele porque no le gusta que le toque la zona, pero se estado de ánimo es normal, me podría ayudar para saber más o menos que es
Respuesta de david ..
2
2 respuestas más de otros expertos
Respuesta de Karolayn Mejías Campos
1
Respuesta de Saludable ?






Hola, buenas noches, a mi perrito de 22 le acabe de ver una bolita roja a un costado, él ha tenido quistes foliculares y verruga por papiloma canino. Adjunto fotos - Angie Gonzalez