Artrosis en gatita de año y medio
A mi gata de año y medio le han diagnosticado artrosis de cadera y artrosis de codo, también fue diagnosticada con calicivirus hace unos meses. El veterinario que la ha diagnosticado nos aconseja que NO la operemos, y nos recomienda dos opciones de tratamiento: aplicar factores de crecimiento o trasplante de células madre.
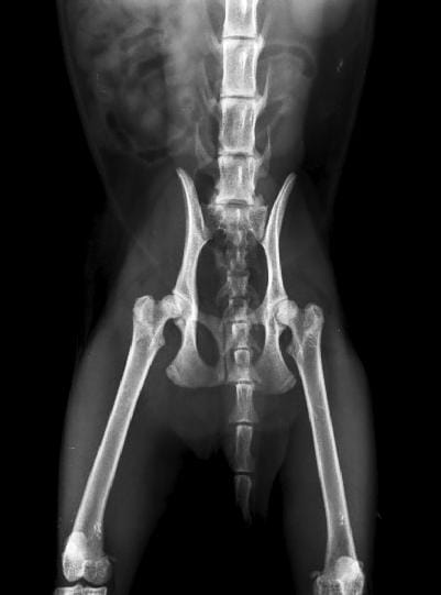
El pronóstico que nos ha dado no es demasiado bueno, puesto que el codo izquierdo ya está en bastante mal estado como se ve en las radiografías y las caderas van por el mismo camino, sobretodo la derecha. Además nos comentó que el calicivirus va a hacer que se deteriore todo más rápido.
Es tan joven que no sé si es lo más recomendable, el veterinario dijo que mejor no operarla, pero... ¿tendrá calidad de vida en el futuro o hemos de esperarnos que empeore bastante en pocos años?
Gracias.








Cada día que pasa con cissus lo agradezco más. - vero sanchez